Bobrowniki, Rogoźnik

Działka na sprzedaż

Opis nieruchomości

Oferujemy do sprzedaży działkę budowlaną w gminie Bobrowniki obręb Rogoźnik ul.Polna.

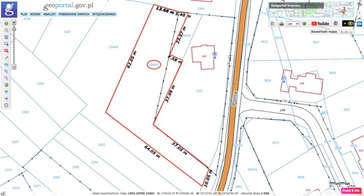
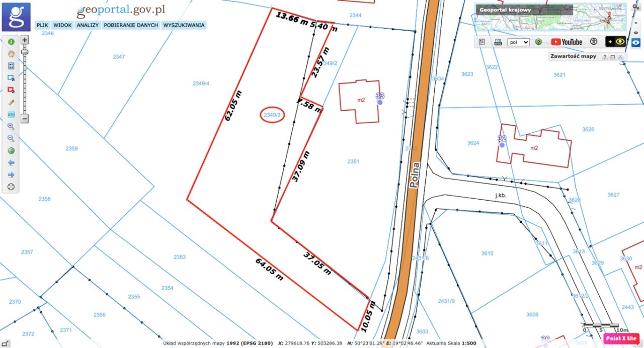
Działka nr. ewidencyjny 2349/3 o powierzchni 1874m2.

Działka objęta planem zagospodarowania przestrzennego o przeznaczeniu:
zabudowa jednorodzinna symbol planu 25MNU.


Działka w kształcie litery L

Wymiary i kształt działki widoczny na zdjęciach lub rzutach w galerii.

Na działce nie ma zrealizowanych przyłączy mediów.
Nie ma skrzynki elektrycznej.
Nie ma studzienki z przyłączem wodnym


Prąd i woda znajdują się w ulicy Polnej.
Gaz znajduję się na sąsiedniej działce.

Działka nie jest ogrodzona.

Cicha i spokojna okolica.

Oferta na wyłączność. Zapraszamy do oglądania.
 

UWAGA:
Prezentowana oferta nieruchomości sporządzana została na podstawie dokumentów oraz oświadczeń uzyskanych od właściciela podczas oględzin nieruchomości, ma charakter informacyjny, nie stanowi oferty handlowej w rozumieniu Art.66 par.1 Kodeksu Cywilnego.     

1. USŁUGA POŚREDNICTWA JEST USŁUGĄ ODPŁATNĄ. (Art. 179b. Ustawy o Gospodarce Nieruchomościami "Pośrednictwo w obrocie nieruchomościami polega na odpłatnym wykonywaniu czynności zmierzających do zawarcia przez inne osoby umów: 1) nabycia lub zbycia praw do nieruchomości; 2) nabycia lub zbycia spółdzielczego własnościowego prawa do lokalu;") najmu / wynajmu lokalu mieszkalnego.
2. ZA OBEJRZENIE MIESZKANIA BIURO NIE POBIERA ŻADNYCH OPŁAT, wymagane jednak jest podpisanie umowy pośrednictwa i określenia prowizji biura w razie zakupu oglądanego lokalu.

Nota prawna

Opis oferty zawarty na stronie internetowej sporządzany jest na podstawie oględzin nieruchomości oraz informacji uzyskanych od właściciela, może podlegać aktualizacji i nie stanowi oferty określonej w art. 66 i następnych K.C.

Szczegóły oferty

Symbol oferty FOR-GS-7183
Powierzchnia 1 874,00 m²
Standard
Wymiary działki 65x62x19x23x8x37x37x10 m
Zagosp. działki niezagospodarowana
Ukształtowanie działki płaska
Kształt działki prostokąt
Ogrodzenie działki brak
Gaz w ulicy
Woda w ulicy
Dojazd asfalt
Otoczenie działki zabudowane
Położenie obrzeża miasta
Prąd w ulicy
Kanalizacja w ulicy

Lokalizacja

Kalkulator kredytowy

PLN
%
Wysokość raty

Kalkulator kosztów

PLN
PLN
PLN
PLN
PLN
PLN
%
PLN
Podatek od czynności cywilno-prawnych
Taksa notarialna (opłata notarialna)
VAT od taksy notarialnej (opłaty notarialnej)
Wniosek do WKW
VAT od wniosku do WKW
Prowizja agencji nieruchomości
VAT od prowizji agencji nieruchomości
Wypisy aktu notarialnego - około
RAZEM (cena + opłaty)

Napisz do nas

Proszę wypełnić to pole
Proszę wypełnić to pole
Proszę wypełnić to pole
Proszę wypełnić to pole
Trwa wysyłanie...

Ta strona wykorzystuje pliki cookies w celach statystycznych oraz w celu dostosowania naszych serwisów do indywidualnych potrzeb klientów. Zmiany ustawień dotyczących plików cookie można dokonać w dowolnej chwili modyfikując ustawienia przeglądarki. Korzystanie z tej strony bez zmian ustawień dotyczących cookies oznacza, że będą one zapisane w pamięci urządzenia.

rozumiem